KCPL2012-33号地块(雅龙花园)项目2期批前公示
扫描到手机,新闻随时看
扫一扫,用手机看文章
更加方便分享给朋友
项目名称:KCPL2012-33号地块(雅龙花园)项目2期
项目性质:二类居住用地
申报类别:建设工程规划核实
申报单位:昆明雅龙房地产开发有限公司
公示时间:2024年3月20日-2024年3月28日
公示地点:昆明市自然资源和规划局官网、“昆明自然资源和规划”新浪微博、“昆明空间规划”微信公众号
项目简介
昆明雅龙房地产开发有限公司开发建设的KCPL2012-33号地块(雅龙花园)项目位于盘龙区龙泉街道办事处,龙源路与云龙路交叉路口。昆明市自然资源和规划局于2021年5月14日核发该项目《建设工程规划许可证》(建字第昆明市202100078号),规划许可规模:总建筑面积186686.95平方米(其中地上建筑面积139307.26平方米,地下建筑面积47379.69平方米),共建设10栋建筑,地上1-32层,地下2层。
昆明市盘龙区自然资源局于2022年12月30日出具《关于KCPL2012-33号地块(雅龙花园)项目规划核实分期方案的意见》规划核实分期范围如下:
(一)1期规划核实范围为地上部分:6栋、7栋、B-1栋,地下部分:地下一层至地下二层全部范围。
(二)2期规划核实范围为地上部分:3栋、5栋、8栋、9栋。
(三)3期规划核实范围为地上部分:1栋、2栋、A-1栋,地下部分:A-1栋负一层全部范围。
现KCPL2012-33号地块(雅龙花园)项目2期已建设完成,建设单位向昆明市盘龙区自然资源局申请办理该项目2期规划核实手续。
现场实施的绿地面积均满足规划许可要求,但存在局部绿地轮廓和位置较规划许可发生调整的问题,现将该项目绿地实施及调整情况公示如下。
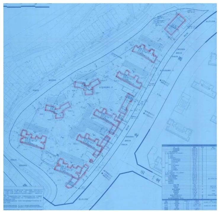
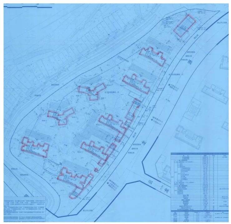
区位图
规划许可总平面图
规划核实分期示意图
项目建成现状示意图
绿地实施及调整情况说明:
KCPL2012-33号地块(雅龙花园)项目2期规划许可绿地面积5516.53平方米,实测绿地面积8626.55平方米,实测绿地面积较规划许可增加3110.02平方米。由于地块内局部绿地位置调整导致绿地图斑发生变化,但调整后的绿地均未占用该项目消防通道、扑救场地和回车场,且绿地面积满足规划许可指标要求,详见调整示意图。
审批绿地图斑
调整绿地图斑
声明:本文由入驻焦点开放平台的作者撰写,除焦点官方账号外,观点仅代表作者本人,不代表焦点立场。


